狗卡住的原因是什么?有没有什么办法可以解决这个问题呢?今天我们就来聊一聊这个话题。首先我们要知道,狗狗卡住的原因主要有两个,一个是食物的问题,另一个就是疾病的问题。下面我们就一起来看看吧。如果你家的狗狗出现了以下这几种情况,那么你就要注意了,可能是狗狗的肠胃胃不好了,这个时候一定要及时的给狗狗进行调理。那么具体是什么情况呢?我们一起来看看吧。
宠物主人:大夫!我家二虎儿(可卡犬)前两天游完泳,今天有点干呕,也不吃东西,你给开点药吧!
宠物医生:阿姨您别着急,我先给检查一下看看是什么原因引起的。
宠物主人:不用检查就是洗澡感冒了,以前也这样干呕和咳嗽。
宠物医生:阿姨你家狗狗的症状不太像呕吐,有流口水的症状,吞咽东西困难、摸它胸腔部分还有疼痛感觉,你给它最近吃过骨头吗?
宠物主人:前天我家金毛吃鸡脖子,被它抢走了一根,它吃骨头拉稀,平时不给它吃。
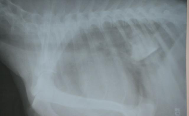
宠物医生:我怀疑你家狗狗有可能是异物卡在食道了,建议你拍个X光片排除一下。
宠物主人:不会吧这么严重,狗吃骨头还能被卡住?
化验:X光片显示狗狗的食管末端,有一块骨头卡在上面,骨头还算比较规则。
治疗:灌服石蜡油和利多卡因,比较幸运的是这块骨头的位置特别靠近贲门,所以成功的用润滑剂,让骨头进入到了胃里面。
3天后再次拍X光,骨头完全消化,排出体内了。
看完这个病例,我想有很多宠物主人会有共鸣,因为大部分宠物主人认为,狗狗这种干呕就是咳嗽或者是呕吐,在我们提出做化验排除异物的时候,很多宠物主人会质疑,今天给大家在这里辟个谣,狗狗干呕不一定是咳嗽和呕吐,还有可能是食道异物引起的,在发现狗狗有干呕的症状以后,一定要仔细观察,或者到宠物医院检查,以免耽误治疗。
下面让我们看一看,狗狗吃东西被卡在食道有什么症状呢?
狗狗吃东西被卡住一般有两个部位,第一个部位是食道到口腔,第二个是卡在胃到肠道,那么我们今天说的是异物被卡在第一个部位(食道到口腔),第二个部位咱们以后再讨论。
异物卡在食道到口腔这个部位的症状:
食道:
狗狗异物卡在这里,狗狗不会表现出太明显的症状,有轻度干呕、胸部疼痛、不吃东西(但是它有想吃东西的欲望)可以喝水、但是在喝水的时候会出现无法全部咽下、反流到口腔外面、精神沉郁,因为初期表现的症状不明显,很容易被主人忽视,发现的时候一般是2-3天以后。
异物完全堵塞食道,狗狗会表现出明显的吞咽困难症状。(这个时候主人很容易发现)
喉部或者是口腔部分:
狗狗被异物卡在这里,狗狗会有特别明显的症状,用爪子去不停的挠嘴巴、不停的干呕、流口水、吼叫、不吃东西、不喝水、不断的做仰脖子动作,宠物主人一般很容易发现,因为症状太明显了,卡在口腔部分的异物,主人把狗狗嘴巴打开,用肉眼都可以看见。
狗狗最容易被哪些异物卡着呢?
在临床上我们最常见的就是骨头,狗狗喜欢吃骨头,宠物主人也特别愿意喂骨头,尤其是鸡骨头在食道异物里面是占比最高的。缝衣服的针、鱼钩、磨牙棒、比较小的玩具球、以及一些比较坚硬的不规则食物(见过一只金毛犬,把一只麻雀卡在食道里面了)
哪些原因会引起食物卡在食道呢?
狗狗发现食物以后,正准备吃的时候,主人的突然抢夺,狗狗怕煮熟了的鸭子飞走了,着急赶快咽下去,但是被卡在了食道。狗狗在吃食物的时候有护食的习惯,听到有动静或者是有它的小伙伴过来抢食物,一着急没完全咽下去,被卡在食道。吃东西狼吞虎咽的狗狗,容易吃东西被卡着。饥饿了很长时间的狗狗,或者很久没吃骨头,主人突然给加餐一次,因为吃的太着急,被卡在了食道。
宠物主人如何区分,是异物卡在食道引起的干呕,还是咳嗽、或者呕吐呢?
第一个区别就是流涎(流口水),咳嗽是不会出现流口水的症状的,呕吐虽然会有流口水的现象,但是它同时会有腹部的症状。
第二个就是用爪子想挠自己的嘴巴,咳嗽和呕吐都不会引起这个症状
第三有反流的现象,有喝水的动作但是不见水少,看见食物想吃,但是吃不下去,咳嗽和呕吐都不会出现这种现象。
那我们如何确诊异物卡在了食道呢?
颈部和胸部的X光2张,这是诊断食道异物最重要的检查方式(正位和侧位各一张)食道钡餐X光造影,可以更清楚的观察异物的形状以及对食管的损伤程度,对手术方式起到评估作用。(可以和内窥镜选择使用一种)内窥镜可以确诊异物的具体位置,而且可以直观的看到异物以及食道的损伤情况。血常规和生化检查,对炎性反应和狗狗的机体做评估,选择手术方案和时间。
狗狗被异物卡在口腔部分或者是食道,我们该如何治疗呢?
口腔部分:
不需要手术,因为这个地方可以用肉眼看见,用止血钳或者肠钳直接夹出来就可以,狗狗如果特别敏感和抵抗,或者是位置靠近喉咙下部,那么必须使用全身麻醉。
术后抗炎治疗:
头孢类抗生素25mg/kg 皮下注射5-7天。口腔使用碘甘油连续5-7天。(有创伤的时候使用)
食道部分:
♥♥♥异物比较规则不是尖锐的、没有发生黏连和食道损伤的、(保守治疗的必要条件)
通过灌服润滑剂(石蜡油)和局部麻醉药(利多卡因)尝试让异物自己进入胃里面,这种办法有一定的成功率。在麻醉的情况下,使用润滑剂和局麻药的配合下,用肠钳把异物夹到口腔外面,或者是捅到胃里面。在麻醉的情况下,使用内窥镜把异物夹到口腔外面,建议配合润滑剂使用。
如果保守治疗不成功,那么只能采取手术治疗方案。
胃切开手术:
打开狗狗腹腔、在胃部找血管少的地方做一切口,通过胃部的贲门用止血钳或者肠钳把异物夹出来,然后包埋缝合胃部,逐层关闭腹腔。(手术条件必须是异物规整、没有食道黏连的情况下)
开胸手术:
上面保守治疗方案和手术方案都不能进行的情况下,那么只能做开胸手术,因为这种手术的创伤比较大,所以是最后的选择方案。
麻醉:呼吸麻醉方式
通过X光片确定手术切口部位,切开皮肤和肌肉,分离出一根肋骨,然后把肋骨切掉,然后磨平断端的尖锐部分,推开肺部暴露食管,切开食管取出异物,然后逐层关闭胸腔,最后把胸腔的空气排出。
术后治疗:
禁食禁水3-5天,静脉补液治疗。
抗炎治疗7-10天(头孢类抗生素)
注意事项:
手术过程中,一定要注意对肺部的保护,防止意外损伤。注意不要损伤到迷走神经。(术中)注意术后胸膜炎和气胸的发生。
如何预防狗狗食道异物呢?
在平时的饲养过程中尽量不要给狗狗吃比较小的,比较尖锐的骨头。狗狗吃东西的时候,不要突然和它抢夺,这样很容易引起食物卡在狗狗食道,造成严重的后果。家里饲养两条狗的宠物主人,在喂食的时候,最好是分开一定距离饲喂,以免相互争抢食物。
异物卡在狗狗的喉部和食道,是一种非常危险的疾病,大家一定要尽早发现,异物卡在食道的时间越长,发生黏连的几率越大,同时还会引起食管破裂,损伤到肺部,所以治疗时间越晚,手术繁杂度越高,死亡率越高。
狗狗出现异常的症状,建议大家去宠物医院咨询宠物医生,不要靠自己的经验来诊断疾病,也不要轻信谣言,来给狗狗诊断疾病,很多疾病的症状都类似,但是病因却有很大的区别。
科学养犬,不止是在食物上和饲养管理上,给狗狗看病也需要科学的诊断方法,才能给它们制定最好的治疗方案。
【听宠物医生说 用通俗易懂得方式科普专业的宠物疾病知识,喜欢记得点关注】





















