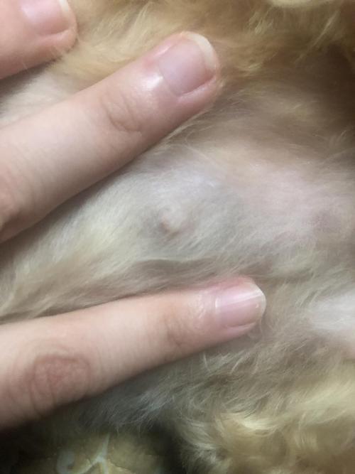
狗狗乳房下面有硬块,不要用手挤压,可以用棉签蘸一些宠物专用的消毒液,轻轻擦拭,然后用清水冲洗干净。

如果狗狗出现呕吐、腹泻等症状,要及时就医。另外,如果狗狗的耳朵、鼻子、眼睛等部位出现红肿、流脓等情况,一定要及时就医。
此外,还要注意观察狗狗的精神状态,如果狗狗精神萎靡不不振、食欲不振、呕吐腹泻等,就要考虑是不是得了犬瘟热。如果发现狗狗有这些症状,就要立即带狗狗去宠物医院进行检查治疗。
另外,在日常饮食中,要注意给狗狗补充营养,不要让狗狗吃太多油腻的食物,这样容易导致狗狗消化不良,出现拉稀的情况。平时还要注意定期给狗狗驱虫,这样有助于狗狗身体健康。如果狗狗出现严重的拉稀情况,要及时带狗狗去宠物医院进行检查,避免耽误病情。
狗狗的饮食一定要清淡,可以适适当的喂食一些汪益制,帮助狗狗补充营养,促进肠胃蠕动,减少便秘的发生。平时还要注意定期驱虫,防止寄生虫感染。当然,最重要的还是是要多运动,增强体质,这样才能更好的预防疾病的发生。

希望大家都能养出健康的狗狗,过上幸福快乐的生活。#宠物情感##养宠科普##专业知识,一对一服务!更多精彩内容,欢迎订阅本企鹅号:一起走遍天下!今天给大家带来的是:泰迪被主人抛弃,流浪街头无人问津,,一个月后竟变成这样!网友:狗生赢家!一起来看看吧!泰迪是一种非常可爱的狗狗,深受人们的喜爱,但是有的人养了之后就不想要了,,因为它们太调皮了,经常拆家,所以主人就想把它送人,但是又舍不得,毕竟自己养了这么久,还是有感情的。不过也有一些人是真的喜欢猫咪的,就比如下面这位网友,他家的猫咪就是这样的。
这天,网友下班回家,发现家里的猫咪不见了,于是就去找,结果在垃圾桶里发现了它它!只见猫咪躺在垃圾桶里,一动不动,看起来十分可怜。网友赶紧上前查看,原来是猫咪在喝水,可是它喝的水是什么呢?难道是自来水??网友仔细一看,发现猫咪的嘴里叼着一个塑料袋,袋子里装着的居然是一只流浪猫。
。





















